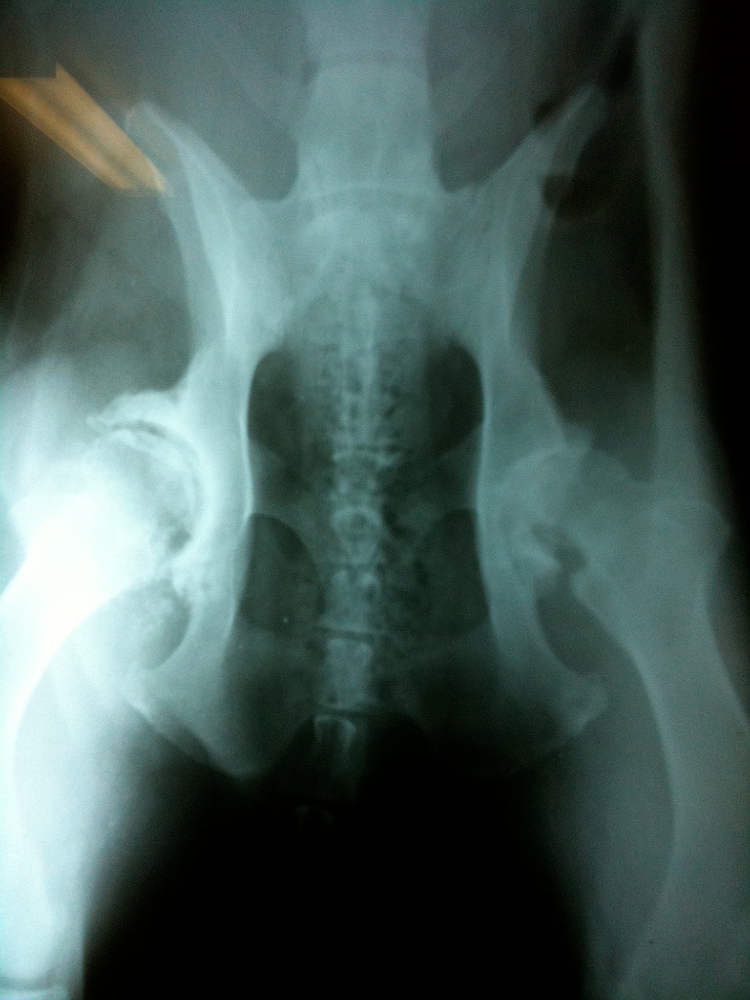
A version of this article is featured on the Embrace Pet Insurance Blog. Photo shows hip dysplasia and osteoarthritis in one of my DELTA Rescue patients.
The musculoskeletal system is one of the body’s best assets and greatest enemies. Without muscles, bones, ligaments, tendons, and other connective tissue, our pets would take the form a jelly-like blob barely capable of movement.
Despite the amazing ambulatory capabilities provided by the musculoskeletal tract, its components also serve as the origin of potentially debilitating injuries and life threatening illness.
Let’s start with a review of the musculoskeletal tract’s components. The canine and feline skeleton provides the structure which supports internal and external organs. The skeleton is made of numerous bones formed from a matrix of mineralized calcium, phosphorous, and other substances. The bones are held together by the integration of joints, intervertebral discs, and ligaments. Muscles connect to bones via tendons. Collectively, the above components work with organ systems (nervous, cardiovascular, endocrine, digestive, etc) to sustain life.
As the musculoskeletal tract is such a vital part of the body’s functional capacity, there are also many places where breakdown can occur. We have to look at our pets holistically and realize that they are merely a composite of finely tuned parts. If arthritis (joint inflammation) develops, other organ systems will suffer in a compensatory fashion.
Arthritis is one of the most common orthopedic diseases I treat in veterinary practice. It can happen to juvenile, adult, or senior animals and can significantly affect quality of life. Arthritis occurs for a variety of reasons, including:
Congenital and developmental joint malformation- hip and elbow dysplasia, etc
Trauma- jumping, falling, overexertion, etc
Chronic stress from carrying excess weight (see my article for The Daily Vet on petMD: Pet Obesity: Health Implications, Recognition, and Weight Management)
Infectious organisms- bacterial, fungal, etc
Immune system disease- immune mediate arthropathies (like Rheumatoid arthritis in humans)
Cancer- Osteosarcoma (malignant bone cancer), fibrosarcoma (malignant connective tissue cancer), etc
And so on...
When a joint becomes inflamed, the immune system is called into action to reduce inflammation. If the underlying cause of inflammation is removed and adequate time is given for the body to heal, the joint may not have sustained any permanent damage. Other times, more severe damage occurs or inflammation is inadequately controlled, which starts the painful process of degenerative joint disease (DJD). DJD is a permanent remodeling of joint surfaces which limits range of motion, mobility, and overall quality of life.
As a pet owner, you can reduce the likelihood your pet will suffer the painful effects of arthritis and DJD by taking preventive measures early in life.
Maintain a lean body condition
A slimmer pet carries less weight and therefore incurs less day to day joint trauma. When feeding your pet, follow manufacturers feeding guidelines, use a metric measuring cup, and minimize snacks to stay under recommended daily caloric requirements.
Partake in daily pet appropriate exercise
Schedule time on a daily basis to engage in metabolically stimulating activity with your pet. When starting out, choose simple workouts like briskly walking around your neighborhood, then increase the intensity and duration as Fido’s fitness progresses.
Cats can exercise in the safety of your home by chasing a laser pointer or feather toy. Feeding from an elevated surface or placing food inside a feline-friendly toy provides both physical and behavioral stimulation.
Consistent activity benefits both you and pets. The PPET (People Pets Exercising Together) Study showed that owners who regularly exercised with their dog were better able to stick with their workout plan than dog-less participants.
Immediately address lameness with your veterinarian
Should your pet show any inability to use a limb (there are four) properly, immediately address the problem with your veterinarian. Radiographs (xrays) may be needed to determine if the joints and bones are normal or abnormal. The piece of mind that comes from finding no evidence of fracture, joint abnormality, or other significant concerns is well worth the expense.
Feed a diet rich in nutrients having anti-oxidant and anti-inflammatory properties
Nature has created many beneficial food sources capable of aiding the prevention and management of disease. Most whole foods are rich in bioavailable nutrients that combat the process of oxidation and inflammation, both of which cause potentially irreversible tissue damage.
Take preventive measures early in life
Provide joint supplementation at an early life stage. If your dog or cat is predisposed to arthritis due to known or suspected joint malformations, carrying excess body weight, or has suffered orthopedic trauma, an oral joint (gluocsamine, chondroitin, other) and omega fatty acid supplement (fish oil, other) can safely promote joint health and reduce inflammation.
Taking care of your pet’s joints, discs, bones, ligaments, and tendons can increase the likelihood your pet will lead a comfortable and healthy existence. As quality of life is the most important thing we can provide for our pets, take a proactive approach to maintain or improve your pet’s musculoskeletal system on a daily basis.
Thank you for reading my article. To receive my next article via email, please press the “Don’t Miss a Blog Post” button on the right upper corner of this page or follow this link.
Please feel free to communicate with me through email (patrick@patrickmahaney.com) or Twitter (@PatrickMahaney).
Follow my adventures in veterinary medicine by friending Patrick Mahaney: Veterinarian Acupuncture Pain Management for Your Pets on Facebook.
Copyright of this article (2011) is owned by Dr. Patrick Mahaney, Veterinarian and Certified Veterinary Acupuncturist. Republishing any portion of this article must first be authorized by Dr. Patrick Mahaney. Requests for republishing must be approved by Dr. Patrick Mahaney and received in written format.
Embrace Pet Insurance Presents: The Lowdown on Dog and Cat Orthopedics
Embrace Pet Insurance Presents: The Lowdown on Dog and Cat Orthopedics